海州工業園力龍紡機地塊房屋征收補償方案征求公眾意見及修改情況的公示
根據國務院《國有土地上房屋征收與補償條例》第十一條、市政府《關于印發連云港市國有土地上房屋征收與補償暫行辦法的通知》(連政規發〔2011〕4號)規定,海州區人民政府于2023年5月18日就《海州工業園力龍紡機地塊房屋征收補償方案(征求意見稿)》通過海州區政府網站及現場張貼的方式予以公布,公開征求公眾意見。征求意見時間為2023年5月18日至2023年6月18日。在公示和征求意見期間,被征收人通過撥打電話、電子信箱、現場接待等方式提出了修改意見,現將公眾意見及房屋征收補償方案修改情況公示。
一、征求公眾意見情況
本項目征收范圍內共有被征收人總戶數1戶(1家企業)。共發放公眾意見征詢表1份,收回有效問卷1份,調查率達100%,該企業表示支持房屋被征收。同意征收戶數占被征收總戶數100%。
被征收人反饋的意見主要集中在:
被征收人提出關于征收補償政策是否公開、合法的問題,希望相關的征收部門能夠按照相關法律法規依法辦事。
二、關于被征收人相關意見的解釋說明
1、進一步加強房屋征收政策的宣傳,組織宣傳員上門解釋,發放宣傳材料,并留下聯系電話,隨時接受政策咨詢。
2、征收部門將嚴格按照國家、省、市房屋征收的相關法律法規,堅持公開、公平、公正的原則實施房屋征收補償工作,凡是涉及補償相關的信息全部在征收現場公示,真正做到陽光征收。
3、為了充分維護被征收人利益,結合海州區最新出臺的征收政策,方案中明確補償方式為貨幣補償、房票安置和房屋產權調換,由被征收人自行選擇(詳見附件)。
特此公示
附件:海州工業園力龍紡機地塊房屋征收補償方案(修正稿)
連云港市海州區人民政府
2024年4月26日
附件:
海州工業園力龍紡機地塊房屋征收補償方案
(修正稿)
為加快推進高新區南部拓展區開發建設,優化產業結構,海州區人民政府擬對海州工業園力龍紡機地塊征收紅線范圍內的房屋及構筑物等實施征收。依據國家、省、市房屋征收相關法律法規及政策規定,結合被征收房屋實際情況,制定本方案。
一、政策依據
1.《國有土地上房屋征收與補償條例》(國務院令第590號);
2.《關于印發<國有土地上房屋征收評估辦法>的通知》(建設部建房〔2011〕77號);
3.《省政府關于印發江蘇省貫徹實施<國有土地上房屋征收與補償條例>若干問題規定的通知》(蘇政發〔2011〕91號);
4.《市政府關于印發連云港市國有土地上房屋征收與補償暫行辦法的通知》(連政規發〔2011〕4號);
5.《市政府關于印發連云港市市區國有土地上房屋征收補助和獎勵暫行辦法的通知》(連政規發〔2011〕5號);
6.《市政府關于印發連云港市市區國有土地上房屋征收范圍內未經登記建筑調查認定和處理暫行辦法的通知》(連政規發〔2011〕14號);
7.《市政府關于印發連云港市國有土地上房屋征收與補償若干問題規定的通知》(連政發〔2011〕128號);
8.《市政府關于印發連云港市市區國有土地上房屋征收與補償相關問題補充規定的通知》(連政規發〔2014〕1號);
9.《市政府關于調整市區房屋征收政策的通知》(連政發〔2018〕42號);
10.《連云港市國有土地上房屋征收評估技術導則》(連建征監〔2021〕349號);
11.《區政府關于調整國有土地上房屋征收相關補償標準的通知》(海政發〔2018〕41號);
12.《區政府辦公室關于印發海州區舊城(棚戶區)改造房屋征收相關政策調整方案的通知》(海政辦發〔2018〕76號);
13.《連云港市住房和城鄉建設局關于調整房屋裝飾裝修及附屬設施補償協商價格參考標準的通知》(連建征監〔2023〕156號);
14.《區政府辦公室關于印發海州區舊城(棚戶區)改造房屋征收相關獎勵政策調整的補充規定的通知》(海政辦發〔2019〕38號);
15.《連云港市海州區房屋征收房票安置實施細則(試行)》(海政規發〔2023〕2號);
16.其他相關文件。
二、征收人:海州區人民政府。
三、征收部門:海州區住房和城鄉建設局。
四、征收實施單位:連云港高新技術產業開發區海州工業園管理辦公室。
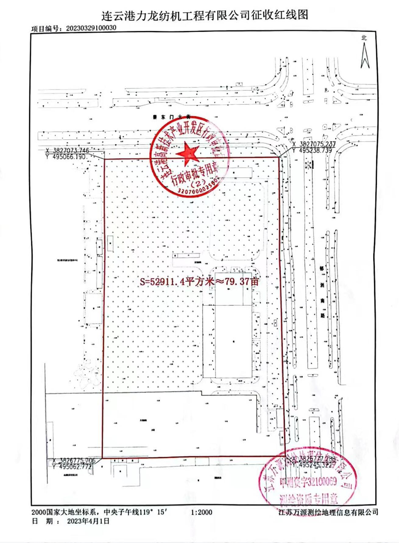
五、征收范圍:海州工業園郁洲南路西、秦東門大街南(詳見征收紅線圖)。
六、征收期限:自征收決定公告之日起至房屋征收結束。
七、征收簽約期限:被征收房屋評估結果公示期滿之日起15日。
八、征收簽約獎勵期限:被征收房屋評估結果公示期滿之日起10日。
九、房地產價格評估機構選定辦法
(一)房地產價格評估機構由被征收人在規定期限內從市房屋征收管理部門每年度公布的房地產價格評估機構名單中協商選定,半數以上被征收人選擇同一家房地產價格評估機構,視為協商選定成功。
(二)若被征收人在規定時間內協商不成或未選定房地產價格評估機構的,征收人將組織被征收人投票決定或者通過搖號、抽簽等方式確定。采用投票方式時,半數以上被征收人選擇同一家房地產價格評估機構的,為多數決定;不足半數的,采取搖號、抽簽等方式確定。
十、被征收房屋的認定
(一)土地用途與用地面積依據連云港市自然資源和規劃部門發放的合法證件或相關有效證明材料載明的土地用途和用地面積進行認定;無連云港市自然資源和規劃部門發放的合法證件及相關有效證明材料的,土地符合登記條件因歷史原因未進行登記的,由連云港市自然資源和規劃部門按程序確權,出具被征收建筑占用土地的登記資料或者國有土地使用權屬確認單(以下簡稱土地確權材料)。
(二)被征收房屋的面積、性質以房屋權屬證書載明的面積、性質為準,房屋權屬證書未載明的,以產權檔案記載的面積、性質為準。
(三)對已依法取得土地使用權和建設工程規劃許可證件,并在土地使用權范圍內按照建設工程規劃許可證件載明內容建設,未辦理房屋權屬登記的建筑,認定為合法建筑。
(四)國有土地上征收范圍內未經登記建筑的認定,在土地確權材料認定范圍內,無建房批準手續,但2003年正射影像圖上有記載的被征收房屋,參照有證房屋予以補償。在土地確權材料認定范圍內,2003年正射影像圖上無記載的,或者雖在2003年正射影像圖上有記載,但在土地確權材料認定范圍外的被征收房屋,認定為違法建筑。
(五)已經下達限期拆除決定書的建筑,認定為違法建筑。
十一、補償方式
本次房屋征收采用貨幣補償、房票安置和房屋產權調換三種方式,由被征收人自行選擇。
(一)被征收房屋的補償價格,由評估機構按住建部《國有土地上房屋征收評估辦法》(建房〔2011〕77號)評估確定和《連云港市國有土地上房屋征收評估技術導則》(連建征監〔2021〕349號)評估確定。
(二)選擇貨幣補償的,征收部門與被征收人按照被征收房屋評估結果計算補償款簽訂房屋征收補償協議,被征收人在規定期限內騰空并完好交出被征收房屋后,征收部門按協議約定將補償款一次性支付給被征收人。
(三)選擇房票安置的,根據被征收人意愿,征收部門出具不高于被征收人依法應當獲得的貨幣補償總額的房票,由被征收人自行購買同意以房票結算的房地產開發企業的新建商品房。具體樓盤以現場公布為準。
(四)選擇產權調換的,計算被征收房屋的補償金額和所調換房屋的價值,結清差價。
1.征收住宅房屋,按被征收房屋認定的合法面積征一還一,互找差價,參照戶型調換。
2.選房辦法:被征收人以簽訂房屋征收補償協議并完成搬遷的先后順序進行選房,先簽先選、后簽后選。
3.過渡方式:被征收人自行過渡。
4.安置房源:幸福里小區部分房源。
5.安置房戶型面積:安置房樓址、戶型以建設工程規劃許可證和政府職能部門批準的圖紙為準,安置房建筑面積以房屋產權登記的面積為準(詳見現場選房圖)。
6.安置房上房時需繳納的房屋維修基金、物業管理等費用,由產權人按有關規定繳納。
7.被征收房屋補償總價超過安置房總價,超出部分由房屋征收部門在協議約定的支付時間內一次性支付給被征收人。被征收房屋補償總價低于安置房總價的,其差價部分由被征收人在安置房屋交付3日前一次性支付給房屋征收部門。
(五)征收非住宅房屋,鼓勵被征收人選擇貨幣補償或參與住宅房屋產權調換。
(六)征收各類企事業單位的土地和房屋,土地面積和性質以土地證載明的面積和性質為準,土地面積有爭議的,由連云港市自然資源和規劃部門予以確認。房屋面積確權按國有土地上房屋確權原則執行,房屋及土地補償價格,由評估機構評估確定。
(七)停產停業損失補償按照《連云港市國有土地上房屋征收與補償若干問題的規定》(連政發〔2011〕128號)執行。
(八)經認定的違法建筑,不予產權調換。
十二、補助和獎勵
(一)搬遷補助
按被征收房屋合法建筑面積10元/㎡計算;不足800元的,按800元計算。被征收人選擇貨幣補償的按一次計算;選擇產權調換的按兩次計算。
(二)臨時安置補助
臨時安置補助費按被征收房屋合法建筑面積12元/月/㎡計算。月臨時安置補助費不足600元的,按600元計算。本次征收由被征收人自行安排過渡,房屋征收部門向被征收人支付臨時安置補助費。
1.被征收人選擇貨幣補償的,按6個月一次性支付臨時安置補助費。
2.被征收人選擇安置房安置的,按6個月支付臨時安置補助費;因房屋征收部門責任延長過渡期的,房屋征收部門自逾期之日起,按逾期月數增付1倍臨時安置補助費。
被征收房屋合法建筑面積等于或小于安置房屋建筑面積,臨時安置補助費按被征收房屋合法建筑面積計算;被征收房屋合法建筑面積大于安置房屋建筑面積,超出部分按選擇貨幣補償的標準執行。
(三)征收獎勵
被征收人在簽約獎勵期限內簽約并搬遷騰空房屋完好交給征收人的,享受以下獎勵;超過征收簽約獎勵期限的,不享受以下獎勵。
1.搬遷獎勵:征收企事業單位房屋和土地,被征收人在簽約獎勵期限內簽訂協議并在協議約定時間內完成搬遷的,按房屋加土地評估價值的2.5%給予獎勵,獎勵金額低于12000元的按12000元計算。
2.征收非住宅房屋或無法進相關園區安置的企業單位房屋和土地,在規定的獎勵期限內簽訂補償安置協議,允許被征收人以貨幣補償以內金額參與住宅性房屋產權調換,安置房價格按照市場評估價計算。
3.違法建筑一律不予補償。被征收人積極配合征收工作,在征收簽約期限內簽訂協議并按約定時間將房屋交給征收人的,按照違法建筑磚木、磚混、鋼混建筑結構類型,分別給予每平方米不超過300元、400元、500元材料補助。
4.房票獎勵
被征收人自出具房票之日起3個月內兌付購買所公布的商品房,按房票購房使用金額部分的8%給予獎勵;第4月至第7個月內兌付購買所公布的商品房,按房票購房使用金額部分的6%給予獎勵。
十三、其他事項
1.被征收人應積極配合征收工作人員對其房屋及附屬設施進行丈量,并及時提供房屋產權證明等相關手續。因被征收人不配合而導致評估價格不實等不利后果,由被征收人自負。
2.本次房屋征收接受被征收人和廣大人民群眾的監督。如發現征收工作人員在征收工作中有違規違紀行為,歡迎被征收人和廣大人民群眾舉報。經調查屬實的,將依紀依法追究相關責任人責任,并對舉報人員給予500元獎勵,同一舉報事件以先舉報者為準。
3.在房屋征收期間,對采取暴力、威脅等方法妨礙房屋征收與補償工作,構成違反治安管理行為的,依法給予治安管理處罰;構成犯罪的,依法追究刑事責任。
4.被征收人不得擅自拆除、損壞被征收房屋、附屬設施,否則征收人有權在補償費用中扣除相應的損失。
5.被征收房屋存在權屬糾紛的,由被征收人在房屋征收簽約及搬家騰房的期限內自行解決,逾期不能解決的,按有關規定處理。
6.征收人與被征收人在征收補償方案確定的簽約期限內達不成補償協議的,或者被征收人不明確的,由海州區住房和城鄉建設局報請海州區人民政府,按照房屋征收補償方案作出征收補償決定,并在房屋征收范圍內予以公告。
7.被征收人對征收補償決定不服的,可以依法申請行政復議,也可以依法提起行政訴訟。
8.被征收人在法定期限內不申請行政復議或者不提起行政訴訟,在征收補償決定規定的期限內又不搬遷的,由海州區人民政府依法申請人民法院強制執行。
9.房屋征收補償協議訂立后,一方當事人不履行協議約定義務的,另一方當事人可以依法提起訴訟。
十四、本方案未盡事宜,按國務院《國有土地上房屋征收與補償條例》及相關政策和有關規定執行。
十五、本方案最終解釋權歸征收人。

掃一掃打開當前頁


